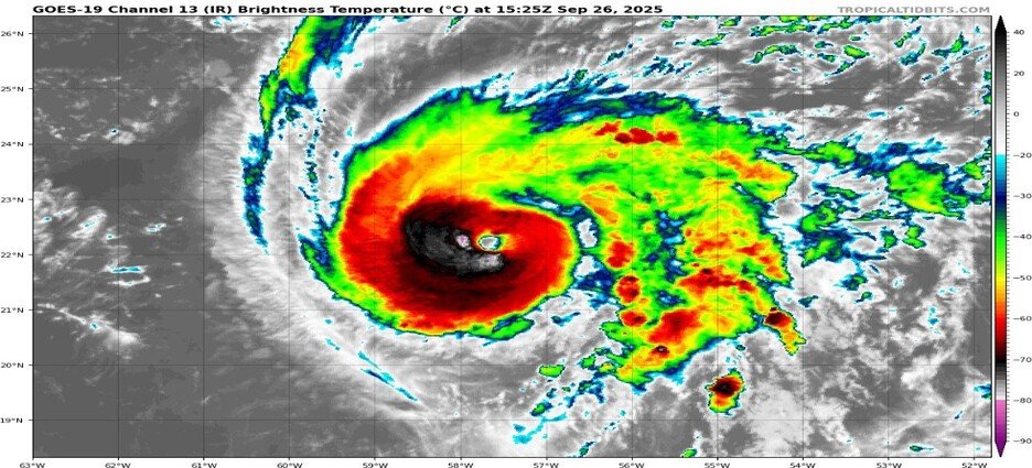
La tormenta tropical Humberto que se formó el pasado miércoles en el Atlántico Tropical Central se fortaleció a huracán este viernes 26 de septiembre, según informó el Centro Nacional de Huracanes (NHC).
El boletín del NHC, que fue emitido a las 5 horas del viernes, indicaba que el sistema se ubicaba alrededor de 465 millas al noreste de las Islas de Sotavento del Norte y registraba vientos máximos sostenidos de 75 mph, además que avanzaba en dirección noroeste a 3 mph.
Según los pronósticos, se espera que Humberto tenga un fortalecimiento significativo del sistema y se convierta en huracán mayor durante el fin de semana.
El analista de ciclones tropicales e historiador de huracanes, Michael Ferragamo, advirtió que espera que Humberto se convierta en un huracán de categoría 4 con una velocidad de 125 nudos (145 mph).
“Si esto ocurre, 2025 será la primera temporada desde 1935 en la que los tres huracanes iniciales alcancen una intensidad de categoría 4+”, señaló desde su cuenta de X.
En la cuenta de X Backpirch Weather, que ofrece análisis avanzados y cobertura en vivo de ciclones tropicales en el mundo, indicó la tarde del viernes que la tormenta ya ha alcanzado las 90 mph y 979 mb “mientras un ojo claro y circular ha atravesado repentinamente el CDO.
Se pronostica un pico de 145 MPH”. Hasta los momentos no hay avisos, vigilancias o advertencias vigentes, pero se recomienda estar alerta y monitorear las redes del Servicio Meteorológico Nacional y el Centro Nacional de Huracanes.






